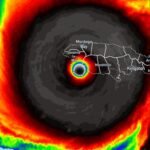
El huracán Melissa, una de las tormentas más feroces registradas en la historia del Atlántico, azotó Jamaica el 28 de octubre de 2025 como un monstruo de categoría 5, con vientos que superaron los 260 km/h y una presión central que descendió a 982 milibares, rompiendo récords en la isla caribeña. Este coloso meteorológico, el más poderoso de la temporada hasta la fecha, dejó un rastro de devastación inimaginable en el suroeste de Jamaica, donde una gran cantidad de construcciones fueron arrasadas, edificios colapsaron y el oleaje de tormenta inundó comunidades enteras con marejadas de hasta 5 metros.
El cazador en el ojo del huracán
En medio de este caos, un testigo ocular privilegiado ha capturado imágenes y relatos que han conmocionado al mundo: Josh Morgerman, conocido en X (anteriormente Twitter) como @iCyclone, un cazador de huracanes con más de 83 tormentas en su haber, incluyendo cinco de categoría 5.
Este “Hurricane Man”, se encontraba en Crawford, un diminuto pueblo playero en St. Elizabeth, justo en el epicentro del ojo derecho del huracán, donde experimentó vientos que él describe como “los más poderosos de su carrera”. Morgerman, un trasplantado de Misisipi y egresado de Harvard, no solo sobrevivió al infierno blanco de la pared del ojo —un vórtice de espuma y debris que generaba un “grito ensordecedor que causaba dolor en los oídos”—, sino que documentó cada segundo con videos y fotos que ahora circulan viralmente, sirviendo como evidencia cruda de la furia de Melissa.
Small taste of #Hurricane #MELISSA on SW coast of #Jamaica, just as we started getting raked by violent right eyewall. Belive it or not, this was before the peak conditions, when everything turned white, the screaming sound became unbearable, & we needed to bolt the door shut. pic.twitter.com/PrxFUVkECU
— Josh Morgerman (@iCyclone) October 30, 2025
Desde su llegada a Jamaica el 25 de octubre, @iCyclone compartió actualizaciones en tiempo real que anticipaban el horror, explorando áreas como Treasure Beach y ofreciendo consejos prácticos basados en su experiencia. El clímax llegó la mañana del 28 de octubre con reportes minuto a minuto del avance de la tormenta, culminando en un relato detallado de la devastación post-impacto que ha acumulado millones de vistas.
Escenas apocalípticas en St. Elizabeth
La devastación que describe es apocalíptica. En Crawford, estructuras de madera fueron “completamente segadas y en algunos casos barridas de sus cimientos”. Árboles reducidos a “palos desnudos”, carreteras bloqueadas por postes de luz y escombros. Black River, un tesoro histórico, quedó “destruido más allá del reconocimiento”: sitios patrimoniales arrasados, el mercado local “torcido como un pretzel” y el hospital regional en ruinas.
Morgerman, quien terminó refugiándose en la cocina del hotel con una familia local, escapó por poco: su habitación perdió una ventana que cubrió la cama de vidrio y madera, y el techo del edificio se desprendió parcialmente. Caminando por las calles devastadas al día siguiente, se topó con Floyd Green, miembro del Parlamento jamaicano de la región, con quien juró: “Haré de mi misión difundir conciencia de esta catástrofe y hacer que fluya la ayuda”.
Los reportes visuales de WeatherNation
Sus reportes no se limitan a X. WeatherNation TV, el canal meteorológico donde Morgerman funge como corresponsal de campo, ha transmitido videos exclusivos suyos desde Black River, uno de los puntos más afectados. En un clip reciente, titulado “Daños de huracán categoría 5 en Black River, Jamaica”, muestra el “grito antinaturalmente aterrador” de los vientos de Melissa, capturado durante su resistencia en el ojo.
SCREAMING WINDS: Field Correspondent & Hurricane Hunter @iCyclone rode out one of the most powerful hurricanes in Atlantic Tropics history.
The ear-piercing howl of the winds leaves us all with a shudder.#HurricaneMelissa pic.twitter.com/fNBlLfVyuk— WeatherNation (@WeatherNation) October 30, 2025
Otro video de WeatherNation destaca cómo el huracán, al debilitarse tras dejar las Bahamas, dejó Jamaica sumida en inundaciones, con el aeropuerto de Kingston reabierto solo para vuelos de ayuda humanitaria y pueblos enteros bajo el agua en el suroeste.
En este video compartido hoy por @WeatherNation, Josh Morgerman recorre las calles de Black River, mostrando techos volados, vehículos destrozados y estructuras colapsadas bajo un cielo nublado que aún amenaza con más lluvias. “Aquí en uno de los lugares más golpeados por Melissa, el daño es catastrófico”, narra Morgerman, mientras camina entre escombros y habla con residentes locales que han perdido todo.
NEW VIDEO: Our field correspondent Josh Morgerman (@iCyclone) is in Black River, Jamaica, one of the hardest hit locations by Hurricane Melissa.
Here’s some of the damage he’s seeing. 🔽🔽 #Melissa pic.twitter.com/w714bbFU1L
— WeatherNation (@WeatherNation) October 30, 2025
Melissa, que también azotó Haití y Cuba antes de dirigirse a Bermudas, ha cobrado vidas y desplazado miles en el Caribe norteño, con advertencias de posibles fortalecimientos futuros. Mientras Jamaica comienza a recoger los pedazos —con el alcalde de Black River describiendo el terror de marejadas de 5 metros y vientos furiosos durante horas—, las imágenes de @iCyclone sirven como un llamado urgente a la acción internacional.















